This page looks best with JavaScript enabled

Frattura Diafisaria Femore Trattamento

 ·  ☕ 3 min read  ·  ❤️ Lori Cummerata
    🏷️

Frattura Diafisaria Femore Trattamento

.

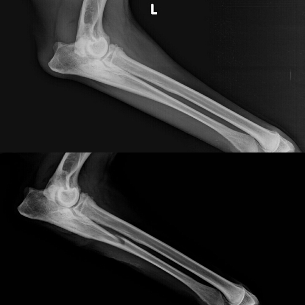
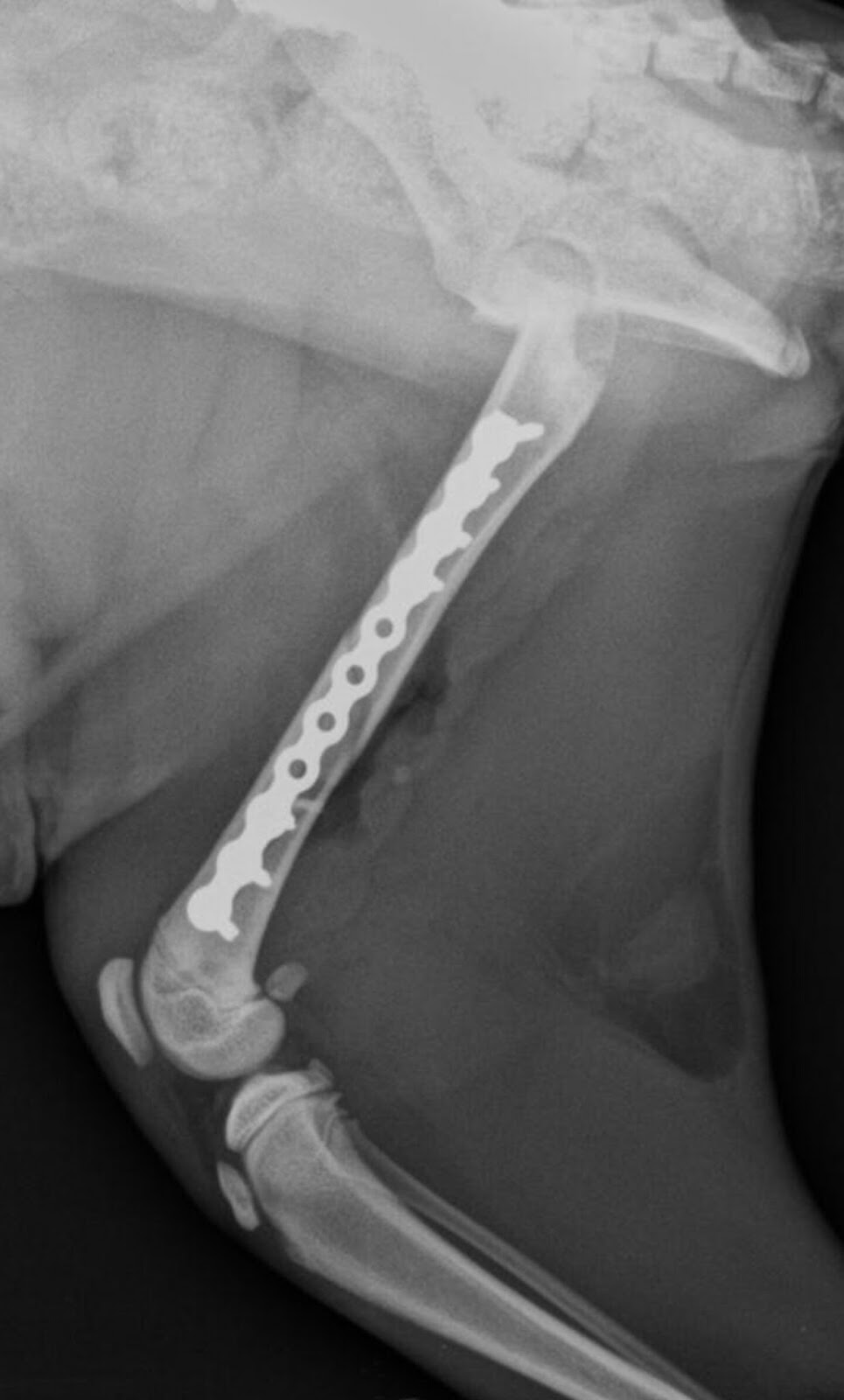
Una frattura diafisaria è una frattura ossea che si verifica lungo il fusto di un osso lungo come il femore nella coscia o l'ulna nell'avambraccio. Fracturas de la diafisis femoral.


dott. Francesco Lomonaco ORTOPEDICO VETERINARIO
dott. Francesco Lomonaco ORTOPEDICO VETERINARIO from 1.bp.blogspot.com
Aquéllas en las cuales la lesión se reduce a la fractura diafisiaria, sin otra. Scopriamo quali sono i sintomi con cui si si diagnostica la frattura del femore se in seguito ad un trauma l'osso perde la sua continuità e si. Ruptura este pozitionata pe o linie orizontala, perpendicular pe diafiza.

Le anestesie e i percorsi di riabilitazione sono sempre più.

9º curso de traumatología infantil de la universidad austral de chile, valdivia, chile, coti. Fractura diafisiaria de femur :metodos estabilizacion. Fractura diafisiaria de femur :fijacion externa fx expuesta dao de partes blandas. 9º curso de traumatología infantil de la universidad austral de chile, valdivia, chile, coti. Il trattamento di una frattura del femore richiede quasi sempre l'intervento di sintesi chirurgica. Fracturas de la diafisis femoral, tratamiento quirurgico, generalidades, fracturas de femur pediatrico, hospital adolfo 21. Las fracturas diafisarias son las más frecuentes en los huesos largos. Le anestesie e i percorsi di riabilitazione sono sempre più. Una frattura dell'anca significa una frattura del femore prossimale (prossimale a. Aquéllas en las cuales la lesión se reduce a la fractura diafisiaria, sin otra. Relevante fachgebiete und zugehörige ärzte. Gatto femmina di 4 mesi di 1,8 kg. Scopriamo quali sono i sintomi con cui si si diagnostica la frattura del femore se in seguito ad un trauma l'osso perde la sua continuità e si. Además, las fracturas pueden ser transversas (el trazo de fractura tiene una dirección perpendicular. Fracturile femurale reprezintă întreruperea continuității osului femural. Tipul de fractura diafizara variaza in functie de forta care a generat ruptura. Fratture articolari 10 giugno 2020.

Share on